
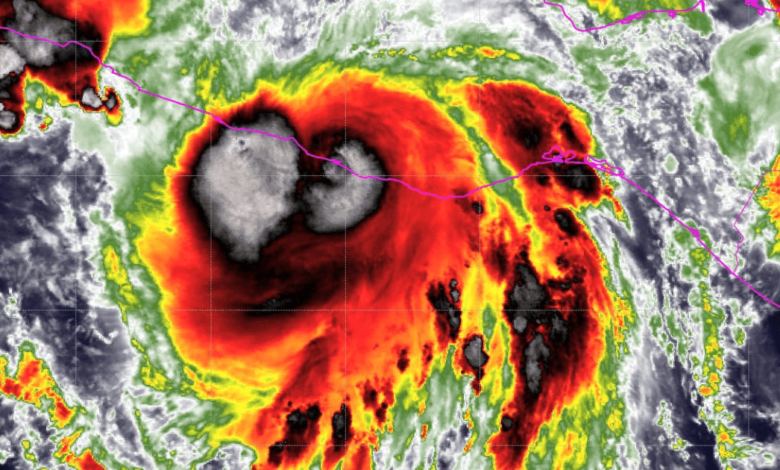
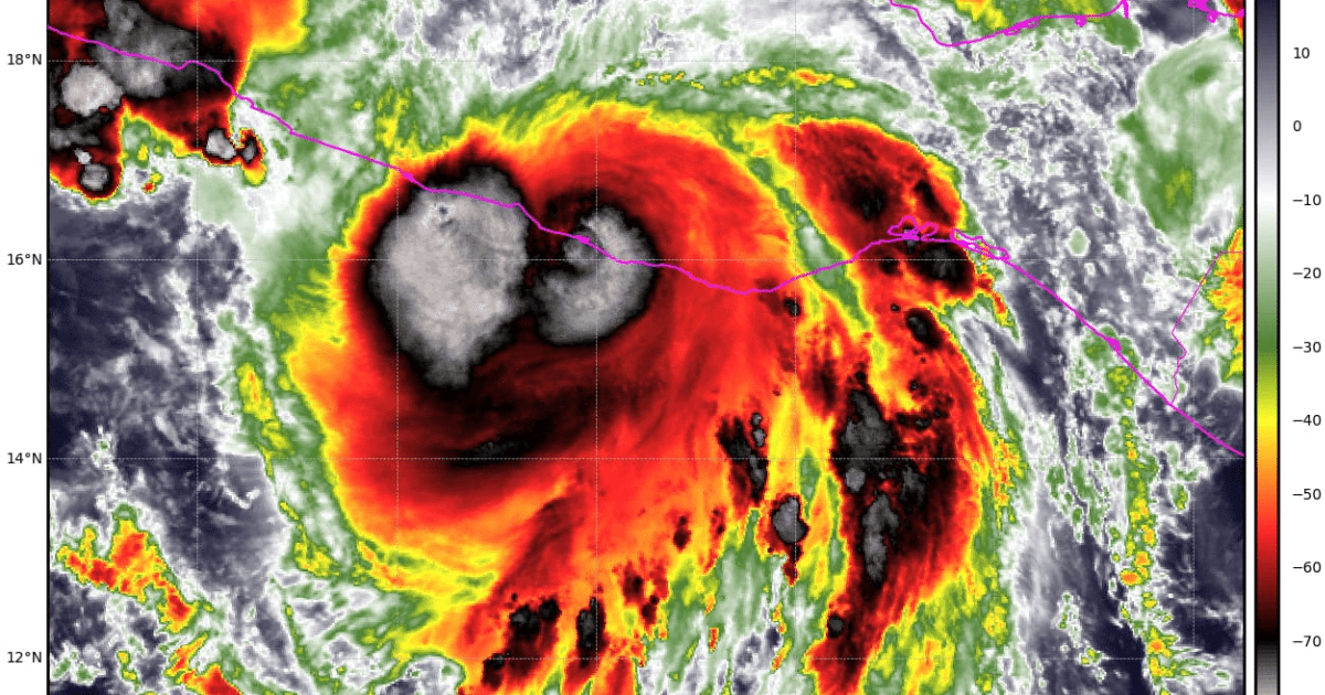
Hace unos momentos el huracán Erick tocó tierra en Oaxaca y ya se desplaza al interior del estado.
Esta madrugada, cerca de más 05:30 horas del centro de México el huracán ‘Erick’ tocó tierra en Santiago de Pinotepa Nacional, Oaxaca, con vientos máximos sostenidos cercanos a los 200 kilómetros por hora, es decir como un devastador huracán Mayor.

Cerca de la 1:00 horas el Centro Nacional de Huracanes, declaró al huracán Erick como un peligroso huracán mayor de Categoría 4, y se fue intensificando hasta hace menos de una hora que hizo interacción con tierra en los límites de los estados de Oaxaca y Guerrero.
Los últimos informes señalan que los principales destinos turísticos de la entidad, como Huatulco, registran inundaciones ya que además habrá caída de agua de hasta 400 milímetros.
También podría interesarte:
Durante la noche la Presidenta de México, Claudia Sheinbaum mandó un mensaje pidiendo calma a las y los afectados y pidió que busquen refugio, justo antes que este fenómeno se intensificara.
Sus bandas nubosas se extienden a prácticamente todo el país y están generando tormentas en estados como Campeche, Yucatán y Quintana Roo.



